Mayor Marl To Voice Concerns About Andelina Farms at Tuesday's Township Planning Meeting

Image

City of Saline Mayor Brian Marl and City Superintendent Gary Roubal will be among those voicing their opposition to a site plan submitted by Saline Ventures, which wants to build Andelina Farms between Austin Road and Michigan Avenue, just west of the city limits.

The township’s planning commission meets at 7 p.m., Tuesday, at the Saline Township hall, to consider final site plan approval.

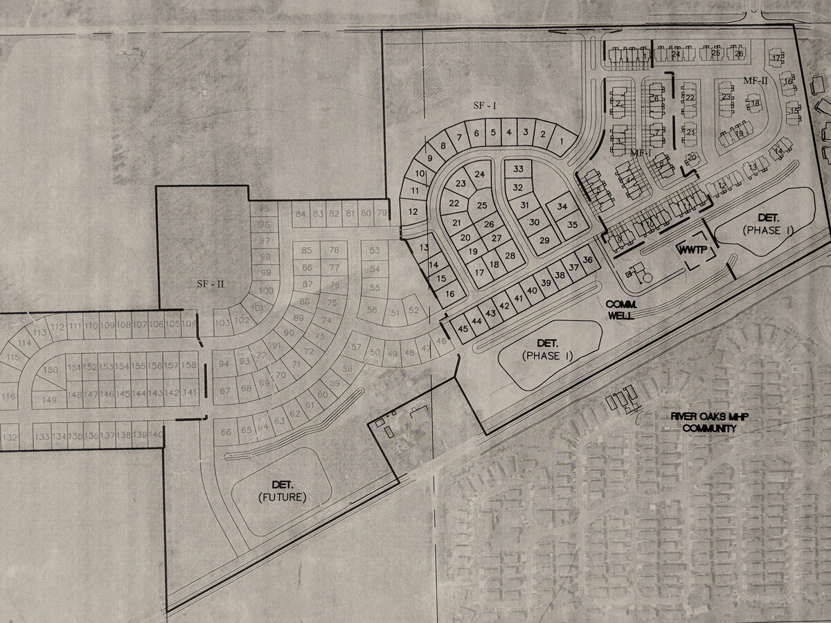
Saline Ventures plans to build Andelina Farms, a 280-unit development, in three phases. Unable to reach a deal with the City of Saline to bring city utilities to the property, it plans to drill wells on the west side of the property and have a wastewater treatment plant on the east side of the property, piping the pollutants to an unnamed tributary of the Saline River near the city’s border,

Marl and city leaders have criticized the plan publicly. They’ve issued their protest about the wastewater plan to the Michigan Department of Environmental Quality. Marl said he’s spoken to State Rep. Donna Lasinski about the city’s concerns and plans to speak with county commissioner Shannon Beeman. He’s spoken with township officials and plans to reiterate concerns at Tuesday’s meeting.

Marl said he remains concerned about the location of another wastewater treatment plant so close to the city’s border, downwind from several city neighborhoods.

Another issue is a plan that shows the traffic spilling on to Austin Road. City officials say with will cause more trouble on Austin Road, especially where it intersects with Michigan Avenue.

Marl said Saline Township Supervisor Jim Marion said the township’s planning consultant is not recommending immediate action on the site plan - so it appears unlikely a decision is coming Tuesday.

 

More News from Saline
I'm interested
I disagree with this
This is unverified
Spam
Offensive