Saline City Council Says 'No' to Andelina Farms Proposal

Image

Saline City Council gave a firm “no” to a developer who hoped to build a 260-unit development and have it attached to the city’s west side.

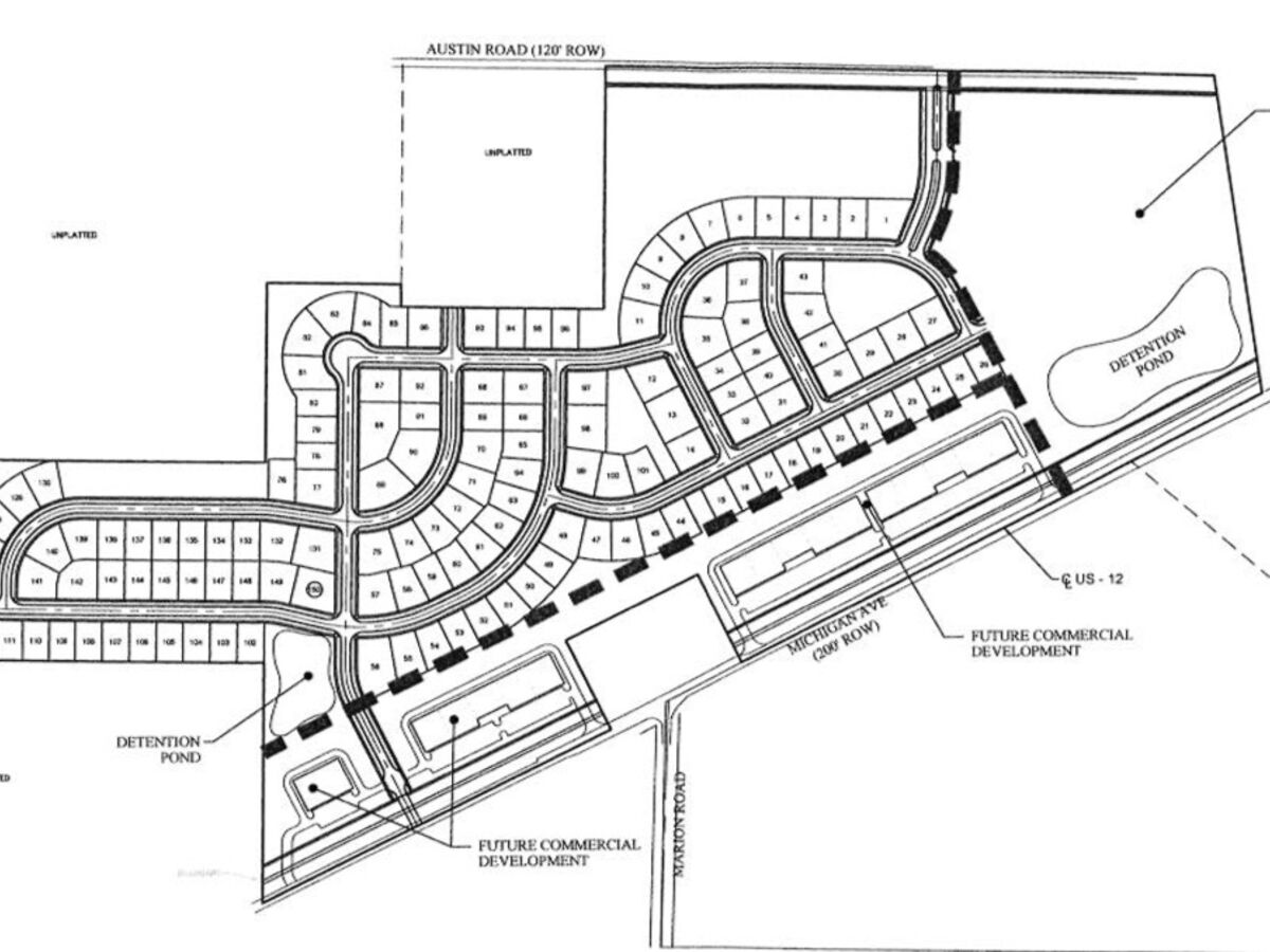
Saline Ventures, owned by Pinnacle Homes, wants to develop Andelina Farms, a 260-unit project with multi-family homes, single family homes and 20 acres of commercial development. The parcel of land is between Michigan Avenue and Austin Road, immediately west of the city’s boundary in Saline Township. To build the development in the city, the developer would have needed to front the cost of expanding the city’s wastewater treatment plant and help extend water and sewer – which would add about $20,000, on average, to the cost of each unit. Instead, the developer planned to pay for the expansion of the private wastewater treatment plant that serves the River Ridge community – whether Andelina Farms was built in the city or township.

Monday night, after an opening remark by Mayor Brian Marl, all seven council members said no the proposed annexation deal.

All agreed that all city developments should serve by city water and sewer.

“After careful thought and consideration, I have determined that it is not in the community’s best interest to pursue the proposal that is before us. On principle, I believe that every parcel that is annexed into the city should accept our utilities,” Mayor Marl said during a lengthy statement that also included his beliefs about other annexation-related issues.

Although no formal vote was taken, each of the council members agreed with the Mayor on the primary point.

The developers will now try and build the exact same development, with River Ridge water and sewer, as a Saline Township parcel – something officials in the rural township hoped to avoid.

Howard Fingeroot, of Pinnacle Homes, said he appreciated the council’s consideration and clear answer.

“We’ll be good neighbors when we go ahead and develop this property,” Fingeroot promised council.

Earlier in the meeting officials from Saline Ventures reiterated that they had already planned to build the development as a Saline Township parcel and they would go that route if city council declined to adopt the 425 agreement spelling out the terms of annexation. Alan Greene, of Dykema Engineering, reiterated that the developers only came to the city at the request of township officials.

“The township wants us to be here (in the city). If you make a decision not to (agree to the 425 agreement), then at least we can go forward and do it in the township,” Greene said.

But it’s not completely clear the City of Saline and Andelina Farms are finished business.

During Marl’s opening statement, he also called for city council to convene work meetings in the coming month to have a discussion focused on extending utilities or creating more wastewater capacity. In fact, Marl said, city staff has requested and received a proposal from Tetra Tech to perform a wastewater treatment plant site study.

“These will not be easy issues to resolve and while they may not seem like immediate needs, I believe it is incumbent on elected leaders to have a long-term vision and deal with substantive public issues which may be decades out,” Marl said.

Marl said after the meeting that it was possible the results of those work sessions could provide solutions that allowed Andelina Farms to be annexed into the city with city utilities.

On the other hand, the city, which recently spent $3.5 million upgrading the wastewater treatment facility, is having a special meeting Monday night to hammer out a plan for dealing with the odor issue caused by the facility, located between South Monroe Street and the Saline River. The solution for that problem is estimated at $2 million.

After the meeting Marl was asked if he felt the city was caught unprepared for the growth. Marl said it was easy, in hindsight, to make that observation.

“But keep in mind that during the economic downturn, we were struggling just to keep what we have and we’ve only recently recovered from that,” he said.

Answering questions from Councillor Janet Dillon, Fingeroot said he expected to develop the residential housing in three phases, starting in 2018. He expected condos to come online in 2019 or 2020 and said the residential development would be market driven and likely be 10 years away.

Fingeroot also told Dillon that the developers haven’t decided if they want to use River Ridge’s water or install their own well.

In their responses to Marl’s statement on the 425 agreement, council was unanimous.

Mayor Pro-Tem TerHaar said the time for long-range utilities and growth planning is now. Councillor Dillon said that city residents should be full-fledged residents, and not pick and choose which services they used.

She also said that a failure of the River Ridge system would put the city in a situation where it would feel morally responsible for their fellow residents, regardless of their legal obligations.

“At the end of the day, that’s not empty farm land. Those are people. If the water went bad, we couldn’t wait for the legal system. The city would have to step in and it would be the right thing to do,” Dillon said.

Councillor Jack Ceo said it was bad policy to enter a 425 agreement where the utilities were provided by an entity other than the city.

Councillor Dean Girbach wondered if it was time to begin thinking about a regional approach to utilities. He brought up the possibility of tapping into the Ypsilanti Community Utilities Authority, which uses Detroit water. YCUA serves Pittsfield Township, including Saline High School.

Councillor Heidi McClelland said that expanding to the west would be wonderful in a perfect world, but that the proposal didn’t serve the needs of existing taxpayers and residents, who must come first. Councillor Christen Mitchell said that while the development would help meet a housing shortage in the city, the hurdles were too great to approve the deal.

 

More News from Saline
I'm interested
I disagree with this
This is unverified
Spam
Offensive